Az értékesítő:
Gradwohl Angéla
+36 70 567 4742

Eladó családi ház Pécs, 599 000 000 Ft, 243 négyzetméter

599 000 000 Ft
családi ház, 243 négyzetméter
Építőanyag:
Tégla
Egész szobák:
17
Fűtés módja:
Gáz
Ingatlan állapota:
Kitűnő
Azonosító:
11574226
Értékesítés típusa:
eladó
Ingatlan típusa:
családi ház
Jelleg:
Családi ház
Település:
Pécs
Alapterület:
243
Telekterület:
1695
Ár:
599 000 000 Ft
Szintek száma:
Földszintes
Fűtés jellege:
Egyedi
Kor:
21-50 éves
Erkély:
Van
Telekterület típusa:
négyzetméter
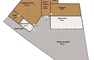
Pécs egyik legkülönlegesebb ingatlana a luxus és elegancia találkozása Eladásra kínálunk egy páratlan adottságokkal rendelkező ingatlant Pécs egyik legszebb pontján, 1695 m²-es telken, amely két főépületben, négy szinten, összesen 1727 m²-nyi exkluzív életteret foglal magába. A parkosított, közel 600 m²-es kert békéje és a Mecsekre nyíló panoráma olyan atmoszférát teremt, amely minden napot egy festménybe illő látvánnyal indít. A komplexum szíve a 71 m²-es, 7 méteres belmagasságú nappali, mely méltóságteljes tágasságával és természetes fényárjával az elegancia szimbóluma. A 16 hálószoba, 12 fürdőszoba, 3 gardrób, valamint 3 teljesen felszerelt konyha és étkező kényelmes, sokrétű használatot tesz lehetővé legyen szó családi otthonról, vagy prémium kategóriás boutique hotelről. A tökéletes kikapcsolódás helyszíne lehet a wellness részleg szaunával, vagy a fedett, 28 m²-es, panorámás medence. A sport szerelmeseit egy 55 m²-es fitneszterem várja, míg az elegáns klubhelyiség, 22 m²-es borospincével, valamint a 80 m²-es rendezvényterem összejövetelek, privát események ideális helyszíne lehet. Az ingatlan minden kényelmét biztosítja: 4 saját parkoló az épület előtt, 5 garázs, több mint 200 m² parkolófelület az ingatlan udvarán, mosókonyha, gépészeti terek, raktárhelyiségek, valamint 28 kW teljesítményű napelemrendszer, amely modern, energiahatékony működést garantál. A tágas, napfényes terek, a gondosan megtervezett belsőépítészeti megoldások, a prémium anyaghasználat és a megnyugtató természetközelség együttese valódi harmóniát teremt. Ez az ingatlan nem csupán egy otthon hanem életstílus. Egy különleges tér, ahol a luxus, a kényelem és a természet közelsége tökéletes egyensúlyban találkozik. Fedezze fel Pécs legexkluzívabb ingatlanát egy helyet, ahol minden nap a tökéletesség érzésével kezdődhet. Az otthonához hozzásegíteni Önt az én hivatásom! Szeretettel megtölteni az Ön feladata! Álmodjuk meg közösen, legyünk egy csapat az ingatlanügyekben! Várom hívását! Referencia szám: HZ033993-NOK
https://ingatlanok.hu/elado/haz/pecs/599-millio-ft;243-negyzetmeter;17-szoba;egyedi-futes/11574226